Malus transitoria Appletini Gulliver - Melo ornamentale
Malus transitoria Appletini Gulliver - Melo ornamentale
Malus transitoria Appletini Gulliver - Melo ornamentale
Malus transitoria Appletini Gulliver - Melo ornamentale
Malus transitoria Appletini Gulliver - Melo ornamentale
Malus transitoria Appletini Gulliver - Melo ornamentale
Malus transitoria Appletini® (‘Gulliver’PBR)
Melo ornamentale
Vedi altre varietà simili in stock
Vedi tutti →24 mesi garanzia di permuta su questa pianta
Altre informazioni
Garantiamo la qualità delle nostre piante per un intero ciclo di crescita e sostituiremo a nostre spese qualsiasi pianta che non si riprenda nelle normali condizioni climatiche e di impianto.
Does this plant fit my garden?
Set up your Plantfit profile →
Descrizione del prodotto
Il Malus transitoria Appletini (sinonimo Gulliver) è una sorprendente varietà di Melo ornamentale che conquisterà non solo per la sua splendida fioritura primaverile rosa, ma anche per la sua fruttificazione altrettanto decorativa quanto golosa. A tutte queste qualità si aggiunge uno sviluppo modesto perfettamente adatto agli spazi ridotti e alla coltivazione in vaso. Le sue piccole mele commestibili e dolci, grandi quanto una pallina da ping-pong, diventano magenta e poi rosse vivaci in autunno. Si tratta di un melo autofertile, che non richiede la presenza di un altro melo per fruttificare.
I meli ornamentali derivano da varie specie botaniche del genere Malus appartenenti alla famiglia delle rosacee. Rustici, accomodanti e facili da coltivare, i Meli da fiore si accontentano di un terreno ordinario ma preferiscono terreni franchi, profondi, sciolti e freschi e esposizioni soleggiate. Una volta stabiliti, sopportano perfettamente di essere dimenticati pur mantenendo il loro carattere generoso. Sono nati numerosi cultivar, in Europa ma anche negli Stati Uniti, sempre più accattivanti ma anche resistenti alle malattie. 'Appletini', invece, è stato recentemente selezionato nel Pas-de-Calais presso i Vivaisti JP Hennebelle. Questo cultivar è perfettamente rustico.
Questo Malus transitoria Gulliver è un piccolo albero elegante, con portamento eretto e stretto in giovane età, ma con una chioma che si allarga un po' con gli anni. Le sue dimensioni medie a maturità sono dell'ordine di 3 m di altezza per 1,50 m di larghezza. Mantiene una forma armoniosa senza che sia necessario potarlo, e sviluppa un legno coperto da una scorza liscia di colore marrone-rosso scuro.
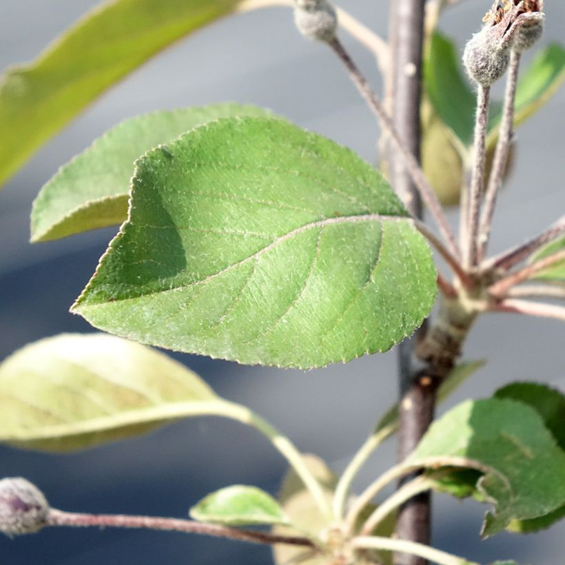
La fioritura, abbondante, avviene in aprile o maggio a seconda delle regioni, sui rami nudi o appena coperti da foglie molto giovani. Assume la forma di numerosi boccioli di un rosa fucsia intenso. Si aprono rapidamente in fiori semplici, di 4 cm di diametro, in sfumature di rosa vivace a rosa chiaro o rosa-biancastro. A questi fiori, riuniti in piccoli mazzi, seguono le giovani foglie. La fioritura, visitata dalle api, è seguita dalla formazione diuna moltitudine di piccole mele commestibili di 3-4 cm di diametro. A maturità in settembre-ottobre, sono di colore magenta poi rosso vivo con polpa di colore giallo pallido. Rimangono abbastanza a lungo sui rami se non vengono mangiate dagli uccelli. Potrete mangiarle così come sono, oppure cuocerle in composta, al forno... Il foliage, caduco, diventa giallo in autunno prima di cadere. È composto da foglie ovali, alterne e dentate.
Il Malus 'Appletini' trova posto in tutti i giardini, anche i più piccoli, ma anche su una Terrazza. La sua fioritura, abbondante ma forse meno duratura di quella di un ciliegio da fiore, è prolungata dalla bellezza dei frutti. Potrete associarlo facilmente ad altri Alberi da frutto per piccoli giardini. Si abbina anche a cespugli o arbusti di rose, lillà, o anche deutzias. Quando si dispone di spazio, i Meli ornamentali, piantati in un grande cespuglio su un terrapieno lungo un viale incassato, creano un quadro abbastanza fiabesco in primavera, ma anche in autunno per i loro colori spesso sontuosi alla fine della stagione.
{$dispatch("open-modal-content", "#customer-report");}, text: "Please login to report the error." })' class="flex justify-end items-center gap-1 mt-8 mb-12 text-sm cursor-pointer" > Segnala un errore nella descrizione del prodotto
Malus transitoria Appletini Gulliver - Melo ornamentale in foto...
Porto
Fioritura
Fogliame
Botanici
Malus
transitoria
Appletini® (‘Gulliver’PBR)
Rosaceae
Melo ornamentale
Orticola
Melo ornamentale (Malus): Altre varietà
Vedi tutti →Piantagione e cura
Di facile coltivazione in un terreno ordinario ma profondo, il Malus 'Appletini' richiede un'esposizione luminosa e soleggiata per fiorire bene. I Malus ornamentali sono generalmente molto accomodanti, ma amano terreni fertili, leggeri, freschi e profondi. Dopo una piantagione accurata e un'installazione accompagnata da annaffiature regolari durante i primi due anni, si arrangiano da soli. Posizionalo al sole o in mezz'ombra in un terreno fresco, abbastanza ricco ma ben drenato, lasciandogli spazio per espandersi. Scava un grande buco per la piantagione. Se il terreno è povero, aggiungi del terriccio al terreno di piantagione e porta al suo piede concime o compost ogni primavera. Per prevenire le malattie, trattalo in primavera con la bordolese.
Quando piantare?
Per quale località?
Trattamenti
Questo articolo non è ancora stato recensito; sii il primo a condividere la tua esperienza.
Non hai trovato quello che cercavi?
La rusticità è la temperatura invernale più bassa che una pianta può sopportare senza subire gravi danni o addirittura morire. Tuttavia, la rusticità è influenzata dalla posizione (zona riparata, come un patio), dalla protezione (copertura invernale) e dal tipo di terreno (la rusticità è migliorata da un terreno ben drenato).
Condizioni generali di utilizzo del servizio fotografico per clienti
Al fine di favorire l'interazione e la condivisione di esperienze tra giardinieri, Promesse de fleurs offre diversi servizi che consentono di caricare contenuti sul proprio Sito, in particolare attraverso il modulo "Condivisione foto".
L'Utente si impegna a non:
- Pubblicare contenuti illegali, pregiudizievoli, ingiuriosi, razzisti, che incitano all'odio, revisionisti, contrari alla pubblica decenza, che violano la privacy o i diritti privati di terzi, in particolare il diritto all'immagine delle persone e dei beni, i diritti di proprietà intellettuale o il diritto alla privacy.
- Pubblicare contenuti per conto di terzi.
- Impersonare un terzo e/o pubblicare informazioni personali su un terzo.
In generale, l'Utente si impegna ad astenersi da qualsiasi comportamento non etico.
Tutti i Contenuti (in particolare testi, commenti, file, immagini, foto, video, opere, ecc.), che possono essere oggetto di diritti di proprietà, diritti di proprietà intellettuale, diritti di immagine o altri diritti privati, restano di proprietà dell'Utente, fatti salvi i diritti limitati concessi dalla licenza definita di seguito a Promesse de fleurs. Gli Utenti sono liberi di pubblicare o meno tali Contenuti sul Sito, in particolare tramite il servizio "Condivisione foto", e accettano che tali Contenuti diventino pubblici e liberamente accessibili, in particolare su Internet.
Essi riconoscono, si impegnano e garantiscono di disporre di tutti i diritti e le autorizzazioni necessarie per tale pubblicazione sul Sito, in particolare per quanto riguarda la legislazione in vigore e i diritti di privacy, di proprietà, di proprietà intellettuale, di immagine, contrattuali o di qualsiasi altra natura. Pubblicando tali Contenuti sul Sito, l'Utente è consapevole di assumersi la responsabilità di editore dei Contenuti ai sensi di legge e concede a Promesse de fleurs una licenza non esclusiva, gratuita e mondiale per tali Contenuti, per tutta la durata della loro pubblicazione, compresi i diritti di riproduzione, rappresentazione, caricamento, visualizzazione, esecuzione, trasmissione e archiviazione.
Gli Utenti autorizzano inoltre l'associazione del loro nome al Contenuto e accettano che tale associazione non sia sempre possibile.
Con la loro pubblicazione, gli Utenti autorizzano i Contenuti a diventare automaticamente accessibili su Internet, in particolare su altri siti e/o blog e/o pagine web del sito Promesse de fleurs, comprese in particolare le pagine dei social network e il catalogo Promesse de fleurs.
Gli Utenti possono liberamente ottenere la restituzione dei Contenuti affidati contattando il servizio clienti tramite il modulo di contatto.
I periodi di semina indicati sul nostro sito web si riferiscono a Paesi e regioni all'interno della Zona USDA 8 (Francia, Regno Unito, Irlanda, Paesi Bassi).
Nelle zone più fredde (Scandinavia, Polonia, Austria...), ritardare le semine all'aperto di 3-4 settimane o seminare sotto vetro.
Nei climi più caldi (Italia, Spagna, Grecia, ecc.), anticipare la semina all'aperto di qualche settimana.
Il periodo di fioritura indicato sul nostro sito web si riferisce a paesi e regioni situati nella zona USDA 8 (Francia, Regno Unito, Irlanda, Paesi Bassi, ecc.).
Varia a seconda della zona di residenza
- Nelle zone da 9 a 10 (Italia, Spagna, Grecia, ecc.), la fioritura avverrà da 2 a 4 settimane prima.
- Nelle zone da 6 a 7 (Germania, Polonia, Slovenia e regioni montuose inferiori), la fioritura sarà ritardata di 2 o 3 settimane.
- Nella zona 5 (Europa centrale, Scandinavia), la fioritura è ritardata di 3-5 settimane.
Il periodo di semina indicato sul nostro sito web si riferisce a Paesi e regioni situati nella zona USDA 8 (Francia, Regno Unito, Irlanda, Paesi Bassi).
Varia a seconda del luogo di residenza:
- Nelle zone mediterranee (Marsiglia, Madrid, Milano, ecc.), l'autunno e l'inverno sono i periodi migliori per la semina.
- Nelle zone continentali (Strasburgo, Monaco, Vienna, ecc.), ritardare la semina di 2 o 3 settimane in primavera e anticiparla di 2 o 4 settimane in autunno.
- Nelle regioni montuose (Alpi, Pirenei, Carpazi, ecc.), è meglio piantare in tarda primavera (maggio -giugno) o in tarda estate (agosto-settembre).
Il periodo di raccolta indicato sul nostro sito web si riferisce ai Paesi e alle regioni della zona USDA 8 (Francia, Inghilterra, Irlanda, Paesi Bassi).
Nelle zone più fredde (Scandinavia, Polonia, Austria...) la raccolta di frutta e verdura potrebbe essere ritardata di 3-4 settimane.
Nelle zone più calde (Italia, Spagna, Grecia, ecc.), la raccolta avverrà probabilmente prima, a seconda delle condizioni meteorologiche.
Nei climi temperati, la potatura degli arbusti a fioritura primaverile (forsizia, spiree, ecc.) deve essere effettuata subito dopo la fioritura.
La potatura degli arbusti a fioritura estiva (lillà indiano, perovskia, ecc.) può essere effettuata in inverno o in primavera.
Nelle regioni fredde e con piante sensibili al gelo, evitate di potare troppo presto quando possono ancora verificarsi forti gelate.