Viorne lantane - Viburnum lantana Mohican
Viorne lantane - Viburnum lantana Mohican
Viorne lantane - Viburnum lantana Mohican
Viburnum lantana Mohican
Viburnum lantana Mohican
Viburno lantana
Vedi altre varietà simili in stock
Vedi tutti →24 mesi garanzia di permuta su questa pianta
Altre informazioni
Garantiamo la qualità delle nostre piante per un intero ciclo di crescita e sostituiremo a nostre spese qualsiasi pianta che non si riprenda nelle normali condizioni climatiche e di impianto.
Does this plant fit my garden?
Set up your Plantfit profile →
Descrizione del prodotto
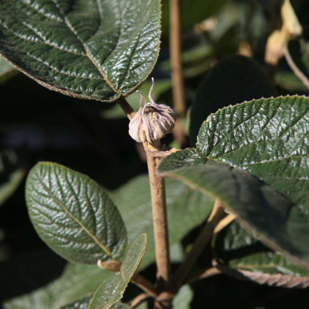
Viburnum lantana 'Mohican' è semplicemente una forma compatta del nostro viburno lantana indigeno, quindi meglio adatta agli spazi ridotti. Questa varietà possiede tutte le belle qualità della sua sorella maggiore, apprezzata nelle ambientazioni campestri. Riconoscibile per i suoi giovani germogli lanosi, questo viburno è un arbusto deciduo di medie dimensioni, ben folto, vestito di un fogliame che si accende in autunno. Le teste rotonde di fiori bianco-crema si schiudono generosamente in primavera in un piacevole profumo, per lasciare spazio a una fruttificazione ornamentale. Talvolta considerata un po' opaca in confronto alle sue cugine asiatiche, questo viburno possiede invece un temperamento robusto, un'ottima adattamento ai nostri climi e una grande tolleranza nei confronti dei nostri terreni calcarei.
Originario dell'Europa centrale e meridionale, dell'Asia occidentale e del Nord Africa, Viburnum lantana è conosciuto nelle nostre regioni come lantana, viburno manciano o ancora cochène. Si tratta di un arbusto deciduo dei sottoboschi e delle boscaglie chiare, che cresce spesso su terreni calcarei a quote inferiori a 1600 m. Il cultivar 'Mohican' sviluppa una portamento più compatto e dimensioni più contenute rispetto alla specie tipo, non superando i 2 m di altezza per 2,25 m di larghezza. La fioritura da aprile a giugno è abbondante, si presenta all'estremità dei rami di un anno. I grappoli rotondi e appiattiti di 4 a 10 centimetri di diametro sono composti da fiori bianchi di 5 mm con stami sporgenti gialli. Questa fioritura profumata è seguita da una fruttificazione a grappoli, piuttosto originale, di cui si potrà godere da settembre a dicembre. I frutti sono sferici, misurano 8 mm di diametro e passano successivamente dal rosa al rosso poi al nero a maturità. Attraggono gli uccelli, che verranno ad animare i giorni più brevi e tristi dell'anno. Il fogliame, deciduo, verde-grigiastro all'apertura poi più scuro, si distingue bene dai fiori. Le grandi foglie pendule, spesse e ruvide, sono ovali e finemente dentate, con il lato inferiore coperto di peluria. Ciascuna misura fino a 10 cm di lunghezza e 6 cm di larghezza. I colori autunnali, spesso splendidi, variano di anno in anno: dipendono probabilmente dalle condizioni climatiche e dalla natura del terreno. I giovani rami dall'aspetto lanoso sono flessibili e coperti di piccoli peli a stella, col tempo assumono una colorazione più grigia.
Rustico ben oltre i -15°C, il Viburnum lantana 'Mohican' si adatta a molteplici condizioni di coltivazione, dal nord al sud del nostro paese. Si utilizza isolato, in siepi libere, in massiccio o in boschetto. Piantatelo in una zona di passaggio per godere al massimo del suo profumo (sotto una finestra o accanto a una porta ad esempio). Questa varietà, più adatta ai giardini di dimensioni contenute, consente di creare un'atmosfera campestre molto piacevole in compagnia di altre piante indigene come il nespolo, la fusaggine, il nocciolo, il prugnolo insieme a qualche erbacea dello stesso tipo: vipérine, cardère, malvarosa, verbasco ...
{$dispatch("open-modal-content", "#customer-report");}, text: "Please login to report the error." })' class="flex justify-end items-center gap-1 mt-8 mb-12 text-sm cursor-pointer" > Segnala un errore nella descrizione del prodotto
Viburnum lantana Mohican in foto...
Porto
Fioritura
Fogliame
Botanici
Viburnum
lantana
Mohican
Caprifoliaceae (Adoxaceae)
Viburno lantana
Europa occidentale
Viburnum - Viburno: Altre varietà
Vedi tutti →Piantagione e cura
Il Viburno lantana 'Mohican' si trova bene in posizione soleggiata o a mezz'ombra. Piantatelo da marzo a giugno e da settembre a dicembre (escludendo il periodo di gelo), in un terreno comune, abbastanza profondo, preferibilmente calcareo a neutro. Realizzate un drenaggio nei terreni veramente compatti (mescolando al terreno del vostro giardino ghiaia o sabbia di fiume) e arricchite di compost per diversi anni se il vostro substrato vi sembra particolarmente povero e sassoso. Una volta ben radicata, questa viorne si adatta alla siccità estiva, anche in zone calde e secche. Potatela leggermente dopo la fioritura, rimuovendo i fiori appassiti per mantenerle una forma compatta.
Quando piantare?
Per quale località?
Trattamenti
Questo articolo non è ancora stato recensito; sii il primo a condividere la tua esperienza.
Articoli simili
Non hai trovato quello che cercavi?
La rusticità è la temperatura invernale più bassa che una pianta può sopportare senza subire gravi danni o addirittura morire. Tuttavia, la rusticità è influenzata dalla posizione (zona riparata, come un patio), dalla protezione (copertura invernale) e dal tipo di terreno (la rusticità è migliorata da un terreno ben drenato).
Condizioni generali di utilizzo del servizio fotografico per clienti
Al fine di favorire l'interazione e la condivisione di esperienze tra giardinieri, Promesse de fleurs offre diversi servizi che consentono di caricare contenuti sul proprio Sito, in particolare attraverso il modulo "Condivisione foto".
L'Utente si impegna a non:
- Pubblicare contenuti illegali, pregiudizievoli, ingiuriosi, razzisti, che incitano all'odio, revisionisti, contrari alla pubblica decenza, che violano la privacy o i diritti privati di terzi, in particolare il diritto all'immagine delle persone e dei beni, i diritti di proprietà intellettuale o il diritto alla privacy.
- Pubblicare contenuti per conto di terzi.
- Impersonare un terzo e/o pubblicare informazioni personali su un terzo.
In generale, l'Utente si impegna ad astenersi da qualsiasi comportamento non etico.
Tutti i Contenuti (in particolare testi, commenti, file, immagini, foto, video, opere, ecc.), che possono essere oggetto di diritti di proprietà, diritti di proprietà intellettuale, diritti di immagine o altri diritti privati, restano di proprietà dell'Utente, fatti salvi i diritti limitati concessi dalla licenza definita di seguito a Promesse de fleurs. Gli Utenti sono liberi di pubblicare o meno tali Contenuti sul Sito, in particolare tramite il servizio "Condivisione foto", e accettano che tali Contenuti diventino pubblici e liberamente accessibili, in particolare su Internet.
Essi riconoscono, si impegnano e garantiscono di disporre di tutti i diritti e le autorizzazioni necessarie per tale pubblicazione sul Sito, in particolare per quanto riguarda la legislazione in vigore e i diritti di privacy, di proprietà, di proprietà intellettuale, di immagine, contrattuali o di qualsiasi altra natura. Pubblicando tali Contenuti sul Sito, l'Utente è consapevole di assumersi la responsabilità di editore dei Contenuti ai sensi di legge e concede a Promesse de fleurs una licenza non esclusiva, gratuita e mondiale per tali Contenuti, per tutta la durata della loro pubblicazione, compresi i diritti di riproduzione, rappresentazione, caricamento, visualizzazione, esecuzione, trasmissione e archiviazione.
Gli Utenti autorizzano inoltre l'associazione del loro nome al Contenuto e accettano che tale associazione non sia sempre possibile.
Con la loro pubblicazione, gli Utenti autorizzano i Contenuti a diventare automaticamente accessibili su Internet, in particolare su altri siti e/o blog e/o pagine web del sito Promesse de fleurs, comprese in particolare le pagine dei social network e il catalogo Promesse de fleurs.
Gli Utenti possono liberamente ottenere la restituzione dei Contenuti affidati contattando il servizio clienti tramite il modulo di contatto.
I periodi di semina indicati sul nostro sito web si riferiscono a Paesi e regioni all'interno della Zona USDA 8 (Francia, Regno Unito, Irlanda, Paesi Bassi).
Nelle zone più fredde (Scandinavia, Polonia, Austria...), ritardare le semine all'aperto di 3-4 settimane o seminare sotto vetro.
Nei climi più caldi (Italia, Spagna, Grecia, ecc.), anticipare la semina all'aperto di qualche settimana.
Il periodo di fioritura indicato sul nostro sito web si riferisce a paesi e regioni situati nella zona USDA 8 (Francia, Regno Unito, Irlanda, Paesi Bassi, ecc.).
Varia a seconda della zona di residenza
- Nelle zone da 9 a 10 (Italia, Spagna, Grecia, ecc.), la fioritura avverrà da 2 a 4 settimane prima.
- Nelle zone da 6 a 7 (Germania, Polonia, Slovenia e regioni montuose inferiori), la fioritura sarà ritardata di 2 o 3 settimane.
- Nella zona 5 (Europa centrale, Scandinavia), la fioritura è ritardata di 3-5 settimane.
Il periodo di semina indicato sul nostro sito web si riferisce a Paesi e regioni situati nella zona USDA 8 (Francia, Regno Unito, Irlanda, Paesi Bassi).
Varia a seconda del luogo di residenza:
- Nelle zone mediterranee (Marsiglia, Madrid, Milano, ecc.), l'autunno e l'inverno sono i periodi migliori per la semina.
- Nelle zone continentali (Strasburgo, Monaco, Vienna, ecc.), ritardare la semina di 2 o 3 settimane in primavera e anticiparla di 2 o 4 settimane in autunno.
- Nelle regioni montuose (Alpi, Pirenei, Carpazi, ecc.), è meglio piantare in tarda primavera (maggio -giugno) o in tarda estate (agosto-settembre).
Il periodo di raccolta indicato sul nostro sito web si riferisce ai Paesi e alle regioni della zona USDA 8 (Francia, Inghilterra, Irlanda, Paesi Bassi).
Nelle zone più fredde (Scandinavia, Polonia, Austria...) la raccolta di frutta e verdura potrebbe essere ritardata di 3-4 settimane.
Nelle zone più calde (Italia, Spagna, Grecia, ecc.), la raccolta avverrà probabilmente prima, a seconda delle condizioni meteorologiche.
Nei climi temperati, la potatura degli arbusti a fioritura primaverile (forsizia, spiree, ecc.) deve essere effettuata subito dopo la fioritura.
La potatura degli arbusti a fioritura estiva (lillà indiano, perovskia, ecc.) può essere effettuata in inverno o in primavera.
Nelle regioni fredde e con piante sensibili al gelo, evitate di potare troppo presto quando possono ancora verificarsi forti gelate.