Viburnum lantana
Viburnum lantana
Viburnum lantana
Viburnum lantana
Viburnum lantana
Viburnum lantana
Viburnum lantana
Viburno lantana
Pianta consegnata nella fascia oraria richiesta. Piccola pianta vigorosa (promette bene per la primavera).
Didier, 10/11/2025
Consegna a domicilio o a staffetta (a seconda delle dimensioni e della destinazione)
Programmare la data di consegna,
e scegliere la data nel carrello
24 mesi garanzia di permuta su questa pianta
Altre informazioni
Garantiamo la qualità delle nostre piante per un intero ciclo di crescita e sostituiremo a nostre spese qualsiasi pianta che non si riprenda nelle normali condizioni climatiche e di impianto.
Does this plant fit my garden?
Set up your Plantfit profile →
Descrizione del prodotto
Il Viburnum lantana, comunemente chiamato Viburno lantana o anche Viburno manciano, è un arbusto diffuso nelle siepi di campagna e ai margini dei boschi di gran parte del nostro paese, dal Nord fino alle Var e ai Pirenei orientali. Estremamente resistente, rustico e sobrio, non manca di fascino: i suoi giovani germogli sono lanosi, la sua fioritura primaverile bianco-crema è generosa, profumata e mellifera, i suoi belli frutti rossi che diventano neri sono apprezzati dagli uccelli e il suo fogliame si accende in autunno prima di cadere. Il manciano merita di essere piantato in un giardino che lasci spazio alla natura. Posizionatelo in una siepe di campagna con meli ornamentali, lillà o filadelfi, ad esempio.
Originario dell'Europa centrale e meridionale, dell'Asia occidentale e del Nord Africa, il Viburnum lantana è chiamato, a seconda delle regioni, lantana, viburno manciano o ancora cochène. Si tratta di un arbusto dei sottoboschi e delle macchie chiare, che cresce spesso su terreno calcareo a quote inferiori a 1600 m. Appartiene alla famiglia delle Caprifoliacee, come il caprifoglio.
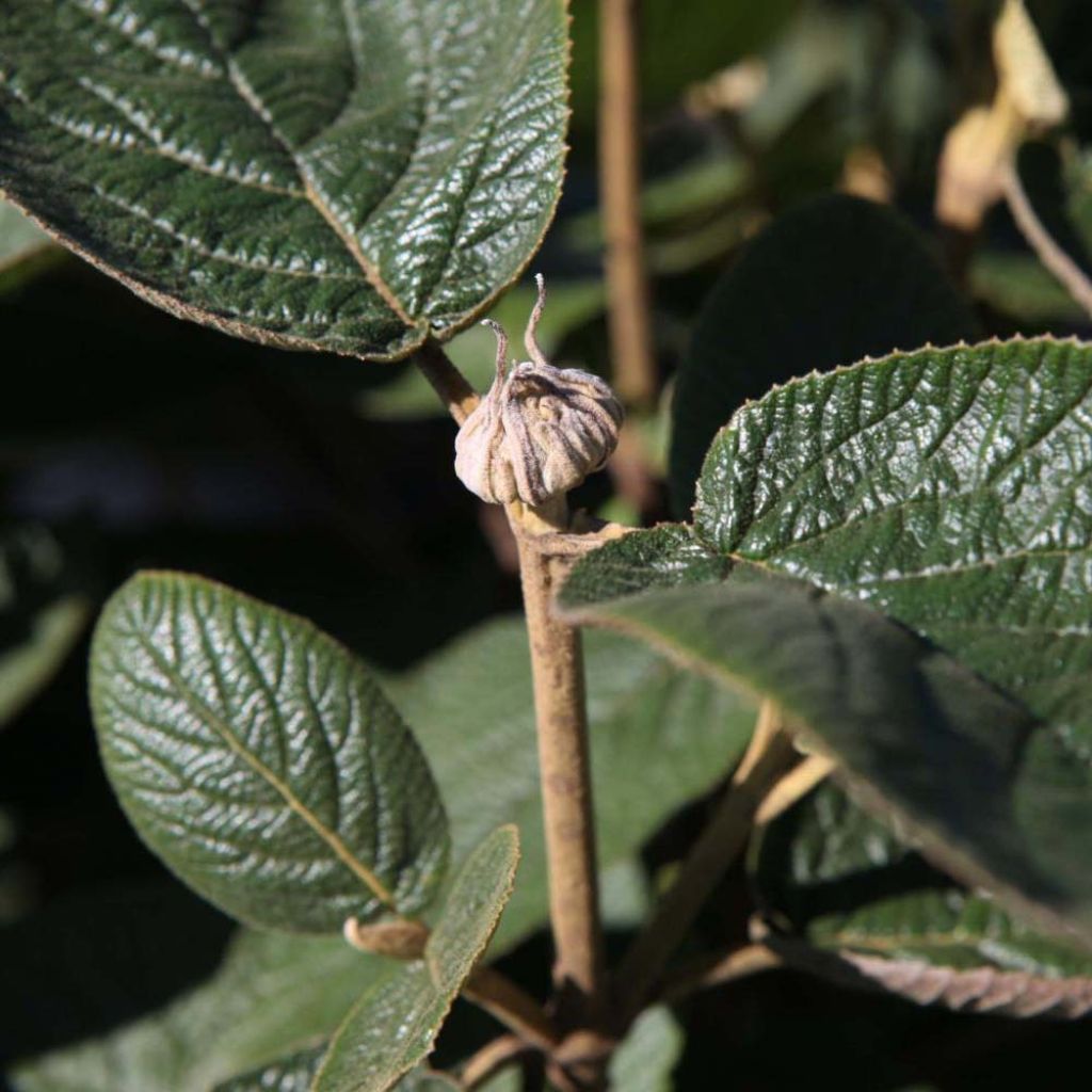
Il viburno lantana è un arbusto dal portamento cespuglioso di 3 m di altezza e da 2 a 3 m di larghezza in media, a seconda delle condizioni di coltivazione. Il suo portamento è allo stesso tempo eretto, espanso, compatto e arrotondato.La fioritura, che avviene da aprile a giugno, è abbondante, si presenta all'estremità dei rami di un anno. I grappoli rotondi e appiattiti di 4 a 10 centimetri di diametro sono composti da fiori bianchi di 5 mm con stami sporgenti gialli. Questa fioritura profumata è seguita da una fruttificazione a grappoli, piuttosto originale, che si può apprezzare da settembre a dicembre. I frutti sono sferici, misurano 8 mm di diametro e passano gradualmente dal rosa al rosso e infine al nero a maturità. Attraggono gli uccelli, che giocheranno con i giorni più corti e tristi dell'anno. Il fogliame, deciduo, verde-grigiastro all'apertura e poi più scuro, si distingue bene dai fiori. Le grandi foglie pendenti, spesse e ruvide, sono ovali e finemente dentate, con il lato inferiore coperto di peluria. Ognuna misura fino a 10 cm di lunghezza e 6 cm di larghezza. I colori autunnali, spesso splendidi, variano di anno in anno: dipendono probabilmente dalle condizioni climatiche e dal tipo di terreno. I giovani rami dall'aspetto lanoso sono flessibili e coperti di piccoli peli a stella, col tempo assumono una colorazione più grigia.
Rustico ben oltre i -15°C, il Viburnum lantana si adatta a molte condizioni di coltivazione, dal nord al sud del nostro paese. Viene utilizzato in siepi libere, aiuole o boschetti. Piantatelo in una zona di passaggio per godere appieno del suo profumo (vicino a un vialetto, all'angolo della casa o vicino all'ingresso del giardino, ad esempio. Questo arbusto senza pretese consente di creare un'atmosfera autentica di campagna insieme ad altre piante indigene come il nespolo, il fusaggine, il nocciolo, il prugnolo e alcune piante dello stesso tipo: vipérine, cardi, grandi cardi, verbasco, salvia dei prati o dei boschi...
{$dispatch("open-modal-content", "#customer-report");}, text: "Please login to report the error." })' class="flex justify-end items-center gap-1 mt-8 mb-12 text-sm cursor-pointer" > Segnala un errore nella descrizione del prodotto
Viburnum lantana in foto...
Porto
Fioritura
Fogliame
Botanici
Viburnum
lantana
Caprifoliaceae
Viburno lantana
Europa occidentale
Viburnum - Viburno: Altre varietà
Vedi tutti →Piantagione e cura
Il Viburno lantana si trova bene in posizione soleggiata o a mezz'ombra. Piantatelo da marzo a giugno e da settembre a dicembre (escludendo il periodo di gelo o siccità), in un terreno comune, abbastanza profondo, preferibilmente calcareo a neutro. Realizzate un drenaggio nei terreni veramente compatti (mescolando al terreno del vostro giardino terriccio, ghiaia o sabbia di fiume) e arricchite di compost per diversi anni se il vostro substrato vi sembra particolarmente povero e ciottoloso. Una volta ben radicata, questo viburno molto rustico si adatta alla siccità estiva, anche in regioni calde e secche. Eventualmente potatelo leggermente subito dopo la fioritura, rimuovendo i fiori appassiti per mantenere una forma compatta, eliminando così i frutti.
Quando piantare?
Per quale località?
Trattamenti
-
, ilAcquista verificato
Risultato il Promesse de fleurs
Articoli simili
Non hai trovato quello che cercavi?
La rusticità è la temperatura invernale più bassa che una pianta può sopportare senza subire gravi danni o addirittura morire. Tuttavia, la rusticità è influenzata dalla posizione (zona riparata, come un patio), dalla protezione (copertura invernale) e dal tipo di terreno (la rusticità è migliorata da un terreno ben drenato).
Condizioni generali di utilizzo del servizio fotografico per clienti
Al fine di favorire l'interazione e la condivisione di esperienze tra giardinieri, Promesse de fleurs offre diversi servizi che consentono di caricare contenuti sul proprio Sito, in particolare attraverso il modulo "Condivisione foto".
L'Utente si impegna a non:
- Pubblicare contenuti illegali, pregiudizievoli, ingiuriosi, razzisti, che incitano all'odio, revisionisti, contrari alla pubblica decenza, che violano la privacy o i diritti privati di terzi, in particolare il diritto all'immagine delle persone e dei beni, i diritti di proprietà intellettuale o il diritto alla privacy.
- Pubblicare contenuti per conto di terzi.
- Impersonare un terzo e/o pubblicare informazioni personali su un terzo.
In generale, l'Utente si impegna ad astenersi da qualsiasi comportamento non etico.
Tutti i Contenuti (in particolare testi, commenti, file, immagini, foto, video, opere, ecc.), che possono essere oggetto di diritti di proprietà, diritti di proprietà intellettuale, diritti di immagine o altri diritti privati, restano di proprietà dell'Utente, fatti salvi i diritti limitati concessi dalla licenza definita di seguito a Promesse de fleurs. Gli Utenti sono liberi di pubblicare o meno tali Contenuti sul Sito, in particolare tramite il servizio "Condivisione foto", e accettano che tali Contenuti diventino pubblici e liberamente accessibili, in particolare su Internet.
Essi riconoscono, si impegnano e garantiscono di disporre di tutti i diritti e le autorizzazioni necessarie per tale pubblicazione sul Sito, in particolare per quanto riguarda la legislazione in vigore e i diritti di privacy, di proprietà, di proprietà intellettuale, di immagine, contrattuali o di qualsiasi altra natura. Pubblicando tali Contenuti sul Sito, l'Utente è consapevole di assumersi la responsabilità di editore dei Contenuti ai sensi di legge e concede a Promesse de fleurs una licenza non esclusiva, gratuita e mondiale per tali Contenuti, per tutta la durata della loro pubblicazione, compresi i diritti di riproduzione, rappresentazione, caricamento, visualizzazione, esecuzione, trasmissione e archiviazione.
Gli Utenti autorizzano inoltre l'associazione del loro nome al Contenuto e accettano che tale associazione non sia sempre possibile.
Con la loro pubblicazione, gli Utenti autorizzano i Contenuti a diventare automaticamente accessibili su Internet, in particolare su altri siti e/o blog e/o pagine web del sito Promesse de fleurs, comprese in particolare le pagine dei social network e il catalogo Promesse de fleurs.
Gli Utenti possono liberamente ottenere la restituzione dei Contenuti affidati contattando il servizio clienti tramite il modulo di contatto.
I periodi di semina indicati sul nostro sito web si riferiscono a Paesi e regioni all'interno della Zona USDA 8 (Francia, Regno Unito, Irlanda, Paesi Bassi).
Nelle zone più fredde (Scandinavia, Polonia, Austria...), ritardare le semine all'aperto di 3-4 settimane o seminare sotto vetro.
Nei climi più caldi (Italia, Spagna, Grecia, ecc.), anticipare la semina all'aperto di qualche settimana.
Il periodo di fioritura indicato sul nostro sito web si riferisce a paesi e regioni situati nella zona USDA 8 (Francia, Regno Unito, Irlanda, Paesi Bassi, ecc.).
Varia a seconda della zona di residenza
- Nelle zone da 9 a 10 (Italia, Spagna, Grecia, ecc.), la fioritura avverrà da 2 a 4 settimane prima.
- Nelle zone da 6 a 7 (Germania, Polonia, Slovenia e regioni montuose inferiori), la fioritura sarà ritardata di 2 o 3 settimane.
- Nella zona 5 (Europa centrale, Scandinavia), la fioritura è ritardata di 3-5 settimane.
Il periodo di semina indicato sul nostro sito web si riferisce a Paesi e regioni situati nella zona USDA 8 (Francia, Regno Unito, Irlanda, Paesi Bassi).
Varia a seconda del luogo di residenza:
- Nelle zone mediterranee (Marsiglia, Madrid, Milano, ecc.), l'autunno e l'inverno sono i periodi migliori per la semina.
- Nelle zone continentali (Strasburgo, Monaco, Vienna, ecc.), ritardare la semina di 2 o 3 settimane in primavera e anticiparla di 2 o 4 settimane in autunno.
- Nelle regioni montuose (Alpi, Pirenei, Carpazi, ecc.), è meglio piantare in tarda primavera (maggio -giugno) o in tarda estate (agosto-settembre).
Il periodo di raccolta indicato sul nostro sito web si riferisce ai Paesi e alle regioni della zona USDA 8 (Francia, Inghilterra, Irlanda, Paesi Bassi).
Nelle zone più fredde (Scandinavia, Polonia, Austria...) la raccolta di frutta e verdura potrebbe essere ritardata di 3-4 settimane.
Nelle zone più calde (Italia, Spagna, Grecia, ecc.), la raccolta avverrà probabilmente prima, a seconda delle condizioni meteorologiche.
Nei climi temperati, la potatura degli arbusti a fioritura primaverile (forsizia, spiree, ecc.) deve essere effettuata subito dopo la fioritura.
La potatura degli arbusti a fioritura estiva (lillà indiano, perovskia, ecc.) può essere effettuata in inverno o in primavera.
Nelle regioni fredde e con piante sensibili al gelo, evitate di potare troppo presto quando possono ancora verificarsi forti gelate.