Chaerophyllum hirsutum Roseum - Cerfoglio irsuto
Chaerophyllum hirsutum Roseum - Cerfeuil hirsute Roseum
Chaerophyllum hirsutum Roseum - Cerfoglio irsuto
Chaerophyllum hirsutum Roseum
Cerfoglio irsuto
Piuttosto delusa dalla pianta, finora ha prodotto solo un fiore di un rosa pallido senza particolare attrattiva. Spero che il tempo migliori la situazione.
Béatrice , 12/11/2025
Vedi altre varietà simili in stock
Vedi tutti →12 mesi garanzia di permuta su questa pianta
Altre informazioni
Garantiamo la qualità delle nostre piante per un intero ciclo di crescita e sostituiremo a nostre spese qualsiasi pianta che non si riprenda nelle normali condizioni climatiche e di impianto.
Does this plant fit my garden?
Set up your Plantfit profile →
Descrizione del prodotto
Incantevole e graziosa pianta perenne sconosciuta, il Chaerophyllum hirsutum 'Roseum', è una splendida ombrellifera. Il suo bel fogliame finemente tagliato e vellutato, emana un piacevole profumo di mela. Forma un cespuglio ben ramificato, le cui numerose steli portano alle loro estremità, in primavera, ombrelle piatte di piccoli fiori rosa-lilla. Una luminosa nebbia rosa che si diffonde sui massicci!
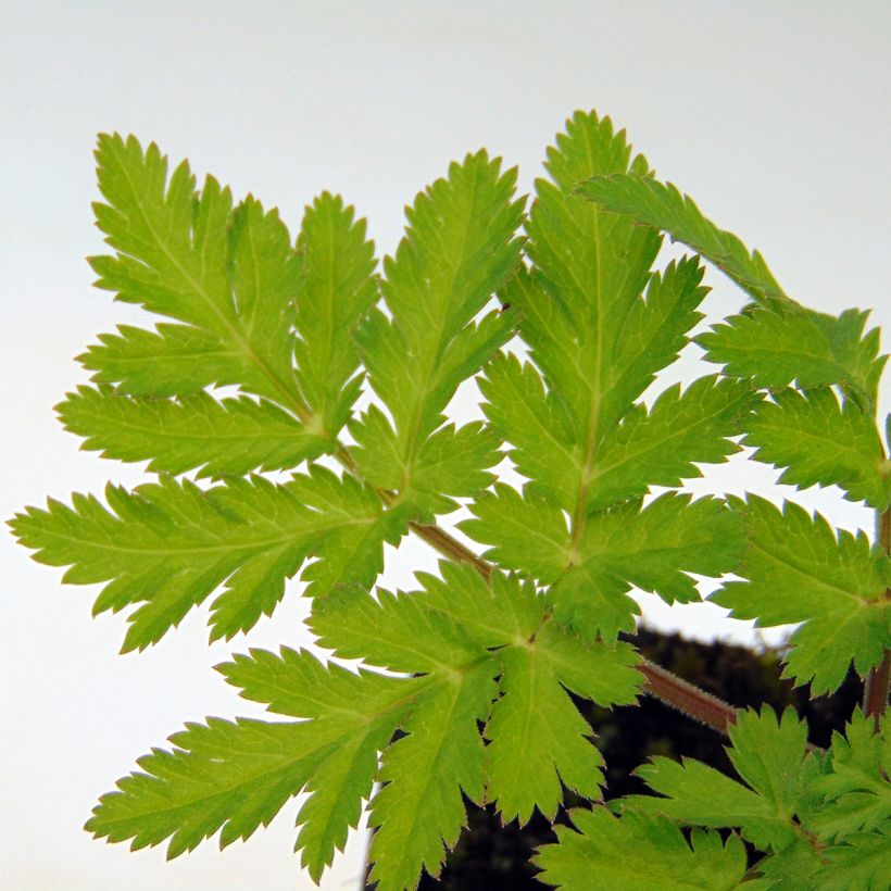
Il Chaerophyllum hirsutum, chiamato anche cerfoglio hirsuto o cerfoglio peloso, è una pianta perenne appartenente alla famiglia delle apiacee (ombrellifere). È originaria delle praterie umide e dei cespugli delle regioni montuose d'Europa, dalla Spagna alla Russia. La varietà 'Roseum' è una pianta erbacea perenne con radice a fittone, cespugliosa e eretta. Forma un ceppo spesso e ramificato, alto 60-90 cm con un'espansione di 30-50 cm. Le sue numerose steli, inizialmente colorate di marrone rossastro, diventano poi verde chiaro, cave alla base e ben ramificate verso l'alto. Il suo fogliame deciduo, finemente tagliato, molto leggero e delicato, ricorda quello delle felci. È aromatico ed emana un delizioso profumo di mela quando viene schiacciato. È composto da foglie tripennate, verdi medio, talvolta sfumate di porpora, lunghe 12-30 cm, e ricoperte da una sottile peluria. A maggio-giugno, i fiori sbocciano all'estremità delle steli, formando infiorescenze in ombrelle piatte di 4-6 cm di diametro, rosa-lilla. Come molte ombrellifere, il suo fiore attira numerosi insetti impollinatori. Questo Cerfoglio hirsuto 'Roseum' darà il meglio di sé dopo uno o due anni, una volta che il suo sistema radicale sarà ben sviluppato.
Pianta ornamentale per eccellenza, questo Cerfoglio hirsuto è una pianta di facile coltivazione, estremamente rustica, da collocare preferibilmente a mezz'ombra, in un terreno ricco e fresco, se non umido. Formando un bel cespuglio con ampie ombrelle rosa-lilla, questa ombrellifera avrà un bellissimo effetto lungo il bordo di un massiccio semi-ombreggiato, in ampie scogliere fresche o in un sottobosco. La sua eleganza vaporosa la rende una pianta eccellente per un giardino dall'atmosfera selvaggia o romantica. Si abbinerà meravigliosamente ad altre ombrellifere, come Astilbe, Ellebori, Astranzie, Aquilegie, Pigamoni, o a piante perenni dall'aspetto più rigido, come Allium, Aconiti, Tulipani alti, Delphinium. Piantare diversi esemplari insieme, rispettando una distanza di 45 cm, creerà una scena di giardino leggera e ariosa.
Sebbene questa pianta non sia classificata come pianta tossica, sconsigliamo il suo utilizzo culinario.
{$dispatch("open-modal-content", "#customer-report");}, text: "Please login to report the error." })' class="flex justify-end items-center gap-1 mt-8 mb-12 text-sm cursor-pointer" > Segnala un errore nella descrizione del prodotto
Chaerophyllum hirsutum Roseum - Cerfoglio irsuto in foto...
Fioritura
Fogliame
Porto
Botanici
Chaerophyllum
hirsutum
Roseum
Apiaceae
Cerfoglio irsuto
Orticola
Piante perenni dalla A alla Z: Altre varietà
Vedi tutti →Piantagione e cura
Quando piantare?
Per quale località?
Trattamenti
-
, ilAcquista verificato
Risultato il Promesse de fleurs
Articoli simili
Non hai trovato quello che cercavi?
La rusticità è la temperatura invernale più bassa che una pianta può sopportare senza subire gravi danni o addirittura morire. Tuttavia, la rusticità è influenzata dalla posizione (zona riparata, come un patio), dalla protezione (copertura invernale) e dal tipo di terreno (la rusticità è migliorata da un terreno ben drenato).
Condizioni generali di utilizzo del servizio fotografico per clienti
Al fine di favorire l'interazione e la condivisione di esperienze tra giardinieri, Promesse de fleurs offre diversi servizi che consentono di caricare contenuti sul proprio Sito, in particolare attraverso il modulo "Condivisione foto".
L'Utente si impegna a non:
- Pubblicare contenuti illegali, pregiudizievoli, ingiuriosi, razzisti, che incitano all'odio, revisionisti, contrari alla pubblica decenza, che violano la privacy o i diritti privati di terzi, in particolare il diritto all'immagine delle persone e dei beni, i diritti di proprietà intellettuale o il diritto alla privacy.
- Pubblicare contenuti per conto di terzi.
- Impersonare un terzo e/o pubblicare informazioni personali su un terzo.
In generale, l'Utente si impegna ad astenersi da qualsiasi comportamento non etico.
Tutti i Contenuti (in particolare testi, commenti, file, immagini, foto, video, opere, ecc.), che possono essere oggetto di diritti di proprietà, diritti di proprietà intellettuale, diritti di immagine o altri diritti privati, restano di proprietà dell'Utente, fatti salvi i diritti limitati concessi dalla licenza definita di seguito a Promesse de fleurs. Gli Utenti sono liberi di pubblicare o meno tali Contenuti sul Sito, in particolare tramite il servizio "Condivisione foto", e accettano che tali Contenuti diventino pubblici e liberamente accessibili, in particolare su Internet.
Essi riconoscono, si impegnano e garantiscono di disporre di tutti i diritti e le autorizzazioni necessarie per tale pubblicazione sul Sito, in particolare per quanto riguarda la legislazione in vigore e i diritti di privacy, di proprietà, di proprietà intellettuale, di immagine, contrattuali o di qualsiasi altra natura. Pubblicando tali Contenuti sul Sito, l'Utente è consapevole di assumersi la responsabilità di editore dei Contenuti ai sensi di legge e concede a Promesse de fleurs una licenza non esclusiva, gratuita e mondiale per tali Contenuti, per tutta la durata della loro pubblicazione, compresi i diritti di riproduzione, rappresentazione, caricamento, visualizzazione, esecuzione, trasmissione e archiviazione.
Gli Utenti autorizzano inoltre l'associazione del loro nome al Contenuto e accettano che tale associazione non sia sempre possibile.
Con la loro pubblicazione, gli Utenti autorizzano i Contenuti a diventare automaticamente accessibili su Internet, in particolare su altri siti e/o blog e/o pagine web del sito Promesse de fleurs, comprese in particolare le pagine dei social network e il catalogo Promesse de fleurs.
Gli Utenti possono liberamente ottenere la restituzione dei Contenuti affidati contattando il servizio clienti tramite il modulo di contatto.
I periodi di semina indicati sul nostro sito web si riferiscono a Paesi e regioni all'interno della Zona USDA 8 (Francia, Regno Unito, Irlanda, Paesi Bassi).
Nelle zone più fredde (Scandinavia, Polonia, Austria...), ritardare le semine all'aperto di 3-4 settimane o seminare sotto vetro.
Nei climi più caldi (Italia, Spagna, Grecia, ecc.), anticipare la semina all'aperto di qualche settimana.
Il periodo di fioritura indicato sul nostro sito web si riferisce a paesi e regioni situati nella zona USDA 8 (Francia, Regno Unito, Irlanda, Paesi Bassi, ecc.).
Varia a seconda della zona di residenza
- Nelle zone da 9 a 10 (Italia, Spagna, Grecia, ecc.), la fioritura avverrà da 2 a 4 settimane prima.
- Nelle zone da 6 a 7 (Germania, Polonia, Slovenia e regioni montuose inferiori), la fioritura sarà ritardata di 2 o 3 settimane.
- Nella zona 5 (Europa centrale, Scandinavia), la fioritura è ritardata di 3-5 settimane.
Il periodo di semina indicato sul nostro sito web si riferisce a Paesi e regioni situati nella zona USDA 8 (Francia, Regno Unito, Irlanda, Paesi Bassi).
Varia a seconda del luogo di residenza:
- Nelle zone mediterranee (Marsiglia, Madrid, Milano, ecc.), l'autunno e l'inverno sono i periodi migliori per la semina.
- Nelle zone continentali (Strasburgo, Monaco, Vienna, ecc.), ritardare la semina di 2 o 3 settimane in primavera e anticiparla di 2 o 4 settimane in autunno.
- Nelle regioni montuose (Alpi, Pirenei, Carpazi, ecc.), è meglio piantare in tarda primavera (maggio -giugno) o in tarda estate (agosto-settembre).
Il periodo di raccolta indicato sul nostro sito web si riferisce ai Paesi e alle regioni della zona USDA 8 (Francia, Inghilterra, Irlanda, Paesi Bassi).
Nelle zone più fredde (Scandinavia, Polonia, Austria...) la raccolta di frutta e verdura potrebbe essere ritardata di 3-4 settimane.
Nelle zone più calde (Italia, Spagna, Grecia, ecc.), la raccolta avverrà probabilmente prima, a seconda delle condizioni meteorologiche.
Nei climi temperati, la potatura degli arbusti a fioritura primaverile (forsizia, spiree, ecc.) deve essere effettuata subito dopo la fioritura.
La potatura degli arbusti a fioritura estiva (lillà indiano, perovskia, ecc.) può essere effettuata in inverno o in primavera.
Nelle regioni fredde e con piante sensibili al gelo, evitate di potare troppo presto quando possono ancora verificarsi forti gelate.